Warehouse
Open from Jan 1st - July 10th 2026
Judging
Date
July 27, 2026
Winners
Announced
August 12, 2026
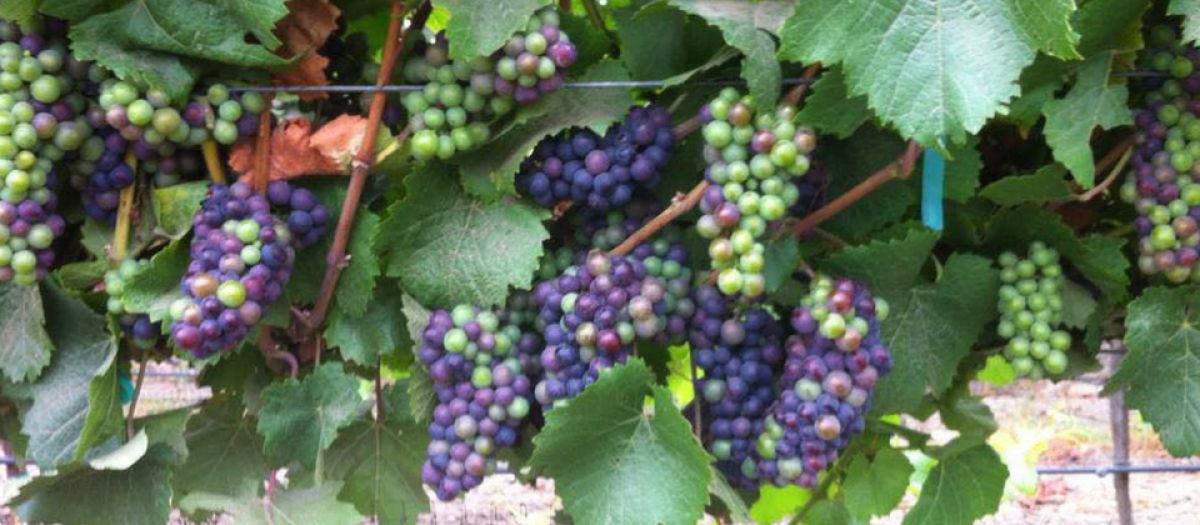
Delfina’s Vineyard is the very heart and soul of the Blair Estates’ label. Named after their matriarch and beloved grandmother, the vineyard sits on the very first property purchased by their family’s grandparents in the 1920s. Delfina’s house still holds pride of place on the estate, where she would daily cook for the family and ranch workers. She inspired generations of their family; her passion for the land is the core value for Blair Vineyard’s wines.

Beginning in 2007, Delfina’s grandson Jeffrey Blair began planting Pinot Noir on the family’s old ranch. Jeffrey knew the potential for winegrowing in the area, given the success of vineyard estates in the Arroyo Seco and neighboring Santa Lucia Highlands’ appellations.
The goal to grow and produce the ultimate statement Pinot Noir; a Pinot Noir focused on this one piece of land, one piece of family history. Nothing less will suffice to honor Delfina’s memory. Today, Delfina’s Vineyard and the Blair Estate is planted to just over five acres of Pinot Noir, almost two acres of Chardonnay, and one block of Muscat. The “micro” nature of the project allows complete and total quality control from the vineyard to the bottling line – for truly artisan, limited.
The Arroyo Seco appellation, which literally means “dry riverbed,” begins in a steep, narrow gorge at the foot of the Santa Lucia mountain range. Moving east, the topography widens and eventually opens up to the Salinas Valley.
The district shares many of the same climatic influences and conditions as the neighbouring Santa Lucia Highlands appellation. The Arroyo Seco’s close proximity to Monterey Bay makes for a very cool, Region I type climate – perfect for growing world-class Pinot Noir. Morning fogs and afternoon winds off the Bay mitigate daytime temperatures; the growing season in the Arroyo Seco is one of California’s longest. Bud-break in early spring and harvests into late fall are not uncommon. This extended growing season provides for gentle ripening and excellent flavour development in the grapes.
Blair Estate 2013 Pinot Noir Delfina's Vineyard
Only 400 cases produced. Delfina’s Vineyard is the very heart and soul of the Blair Estates’ label. Named after our family matriarch, the vineyard sits on the very first property purchased by our grandparents in the 1920s. Whole berry fermentation was started with cultured yeasts in small open top tanks. The cap was manually punched down for optimum extraction and structure. The wine was transferred to a combination of Francois Frere and Seguin Moreau Burgundy barrels, with forty-five percent being new, for 10 months of aging. In the glass, the our signature “Delfina’s” Pinot Noir displays a nose of rose petal and spice combined with bing cherry and strawberry. This spicy fruit tandem carries onto the palate, joined with a light touch of warm, vanillin-oak. Medium acidity and silky tannins give the wine weight in the mouth and carry it to a long finish.
91 Points - Wine Enthusiast Magazine
91 Points - International Wine Review
90 Points, Gold - 2016 The Toast of the Coast Wine Competition
91 Points, Gold - Best of the Arroyo Seco AVA - 2017 Toast of the Coast Wine Competition

“Reserve” is a title that is thrown around pretty liberally in the wine industry, often without a whole lot of meaning. Most terms on a wine label have solid statistics or legal requirements behind them. For the wine to be called Pinot Noir, it needs to be at least 75% of that varietal. To list an official AVA like Arroyo Seco, at least 85% of the grapes have to come from within that appellation’s boundaries. But “Reserve” in the U.S. has no such definition, no required components. For the most part, it is simply a marketing moniker.
Until now. “The Reserve” is Blair Estate’s ultimate Pinot Noir. Everything about this wine is exceptional. “The Reserve” designation here has real meaning. Simply put, it is hand selected from the very best vines each vintage – held in “reserve” for special treatment and special occasions.
Only 125 cases were produced of Blair Estate 2013 “The Reserve.” The striking etched glass bottle with its red wax capsule has already won a Gold Medal for Label Design at the recent San Francisco Chronicle Wine Competition. It has also received a slew of great scores from top reviewers: 94 Points from Wine Enthusiast Magazine. 92 Points from both Tasting Panel Magazine and the International Wine Review. This is the Blair family’s ultimate statement in Pinot Noir from the Arroyo Seco – clearly putting the vineyard and the appellation on the map with California’s very best PN locales.
94 Points - Wine Enthusiast Magazine
92 Points - International Wine Review
Blair Estate 2014 Chardonnay Delfina's VineyardOnly 220 cases produced. Delfina’s Vineyard is the very heart and soul of the Blair Estate label. Named after our beloved grandmother, the vineyard sits on the first property purchased by our grandparents in the 1920s. This "field blend" consists of Chardonnay clones 95 and 809. The free run and lightly pressed juice underwent primary fermention in new French oak barrels. Malolactic conversion, extended lees stirring, and nine months aging in new Francois Frere and Seguin Moreau barrels completed this complex, layered white. Intense apple, pineapple, and citrus flavors meld seamlessly with a streak of vanilla, creme brulee, and spice. Our trademark cool climate acidity keeps the wine in balance. A perfect match with cream-sauced pastas or roast turkey or chicken.
91 Points - Wine Entusiast Magazine
92 Points - Tasting Panel Magazine
96 Points, Best of Class, Gold - Central Coast Wine Competition
Gold - 2016 International Womens Wine Competition

Only 125 cases produced. From the beginning, this Rosé of Pinot Noir was planned as a separate wine. We did not simply “bleed off” juice in the oft used saignée method, as an afterthought to making a red wine. Instead, we employed a short, limited maceration after the fruit was destemmed. The Pinot Noir juice then soaked on its skins for 20 hours, picking up the beautiful pink hue. It was fermented in a cold stainless steel tank to lock in the colour and fruit expression. It fermented completely to dryness and then was aged for six months in “neutral” French oak. This second Blair Rosé is a serious “pink” wine. Serve well chilled with a Salade Niçoise or an herbed salmon steak fresh off the grill.
Gold - 2016 Denver International Wine Competition
Gold - 2016 Drink Pink Vino International Rose Competition
Silver - 2017 San Francisco Chronicle Wine Competition
Silver - 2017 Toast of the Coast Wine Competition
Grow your wines in the off-premise channels of the USA. The Early Bird submission deadline is February 20, 2026, and the domestic submission deadline is June 30, 2026. Here is how to enter.